Zum Inhalt der Seite gehen



Experten befürchten Einkesselung ukrainischer Soldaten in Pokrowsk

Seit mehr als einem Jahr versucht die russische Armee, die logistisch wichtige Stadt Pokrowsk im Osten der Ukraine einzunehmen. Jetzt befürchten viele Beobachter eine Einkesselung der ukrainischen Soldaten.Von Rebecca Barth.

➡️ tagesschau.de/ausland/europa/u…

#Ukraine #Pokrowsk




Ein Jahr Ampel-Aus: "Große Chance fahrlässig nicht genutzt"

Vor einem Jahr wachte Deutschland auf mit der Rückkehr von Trump ins Weiße Haus - und ging schlafen mit dem Aus für die Ampel. Ein Minister, der dabei war, sagt, die Ampel habe eine große Chance gehabt - und sie fahrlässig vertan. Von Gabor Halasz.

➡️ tagesschau.de/inland/ein-jahr-…

#AmpelAus #Ampelkoalition

Als Antwort auf tagesschau

Ampel bashing um von der miesesten Regierung die Deutschland je hatte abzulenken
Als Antwort auf tagesschau

Wäre die #FDP nicht auf den Trichter gekommen das man die Koalition scheitern lassen will, stünden wir heut ganz anders da.

Unvergessen #Habeck



FT: Deutsche Bank sucht Ausweg aus dem Risiko der KI-Finanzierung

Die Deutsche Bank hat große Kredite für den Bau von KI-Rechenzentren vergeben. Das bedeutet geballtes Risiko für die Bank. Es gibt Auswege, aber die kosten.

heise.de/news/FT-Deutsche-Bank…

#Finanzen #KünstlicheIntelligenz #Rechenzentrum #Wirtschaft #news



Marktbericht: Börsen beruhigen sich

Nach drei recht turbulenten Handelstagen ist dem DAX zur Wochenmitte eine bemerkenswerte Kurswende gelungen. Der Index sprang wieder über 24.000 Punkte. Auch die Wall Street fasste wieder Tritt.

➡️ tagesschau.de/wirtschaft/finan…

#Marktbericht #DAX #Börse #Nikkei #Kurssturz #Gold #Öl #KI #Blase #Technologie



Nationaler Sicherheitsrat beschließt Plan gegen hybride Bedrohungen

Er soll bei Krisen tagen und Strategien für Bedrohungslagen erarbeiten: Der Nationale Sicherheitsrat ist zu seiner ersten Sitzung zusammengekommen. Er begann seine Arbeit mit einem Beschluss, der auf Russland abzielt.

➡️ tagesschau.de/inland/nationale…

#NationalerSicherheitsrat #KonstituierendeSitzung

Als Antwort auf tagesschau

Frage: Wenn Computersysteme bereits gehackt, Flughäfen, Bahnhöfe und Umspannwerke bereits ausgespäht, russische V Männer bereits eingesetzt, die Faschisten bereits gestärkt, die Stimmung bereits radikalisiert ist... Kommen dann nicht alle Sicherheitsvorkehrungen zu spät und Putin hat bereits alles was er braucht, um größere Angriffe zu fahren?
Als Antwort auf tagesschau

man sollte eine Plan gegen Propaganda im ÖRR beschließen


Copyright vs KI: Londoner Gericht hilft Bildagentur Getty Images nicht

Der High Court für England und Wales weist die Klage Getty Images' gegen Stability AI teils zurück, teils ab. Nur Markenrechtsverletzung bleibt.

heise.de/news/Copyright-vs-KI-…

#Entertainment #GenerativeAI #KünstlicheIntelligenz #Recht #Urheberrecht #Wirtschaft #news



Erste Rettungsversuche für Münchner Eisbachwelle ohne Erfolg

Die ersten Rettungsversuche für die verschwundene Surfwelle am Münchner Eisbach sind ohne Erfolg geblieben. Obwohl Kies angekarrt und der Wasserpegel erhöht wurde, hat sich die beliebte wie berühmte Welle noch nicht wieder aufgebaut.

➡️ tagesschau.de/inland/regional/…

#München #Eisbachwelle

Als Antwort auf tagesschau

da sind bestimmt die Migranten und Russland dran schuld, außerdem Cannabis
Als Antwort auf tagesschau

Die Welle hatte einfach keinen Bock mehr auf Maggus und ist zurück ins Meer 🌊


Probleme bei Bundeswehr-Digitalfunk: Ausschuss kritisiert Pistorius

Für 20 Milliarden Euro soll die Bundeswehr mit digitalen Funkgeräten ausgestattet werden. Bislang funktioniert aber so gut wie gar nichts. Im Verteidigungsausschuss gab es deswegen heftige Kritik - vor allem an Minister Pistorius. Von Uli Hauck.

➡️ tagesschau.de/inland/innenpoli…

#Digitalfunk #Bundeswehr #Funkgeräte #Pistorius #Verteidigungsausschuss

Als Antwort auf tagesschau

20 Milliarden Euro für Technik, die schlechter läuft als ein Funkgerät aus den 80ern. Digitale Nachrichten brauchen 10 bis 20 Minuten, Funk überlagert sich nach 3 Sekunden, Software hängt, Hardware passt nicht, 400 Stunden Einbau pro Panzer – und danach funktioniert es oft trotzdem nicht. 150 Fahrzeugtypen, aber kein einheitliches System. Das ist kein Hightech-Heer, das ist eine Bastelbude mit Bundeswehr-Logo. Wer so funkt, hat im Ernstfall schon verloren. #EinfacheSprache
Als Antwort auf tagesschau

Boah ey aber Bürgergeldempfänger nötigen und das Deutschlandticket teurer machen.
ARGHHH


Alle Macht dem Weißen Haus: Ein Jahr nach Trumps Wahlsieg

Vor einem Jahr gewann Donald Trump die Wahl zum US-Präsidenten. Seitdem setzt er auf radikale Machtkonzentration und die Politisierung aller staatlichen Institutionen. Das Vertrauen in den Rechtsstaat ist auf dem Tiefpunkt. Von Samuel Jackisch.

➡️ tagesschau.de/ausland/amerika/…

#USA #Trump

Als Antwort auf tagesschau

Hoffentlich ist dieser Orangenfrosch bald für immer und ewig weg vom Fenster.


Vor Treffen in Kanzleramt: "Der Stahlgipfel darf kein Stuhlkreis werden"

Strafzölle, Einfuhrverbote, Strompreis: Vor dem Stahlgipfel im Kanzleramt haben sechs Bundesländer konkrete Forderungen an die Bundesregierung gestellt. Sie sehen Hunderttausende Arbeitsplätze in Gefahr. Von M. Rödle.

➡️ tagesschau.de/inland/innenpoli…

#Stahlgipfel #Stahlindustrie



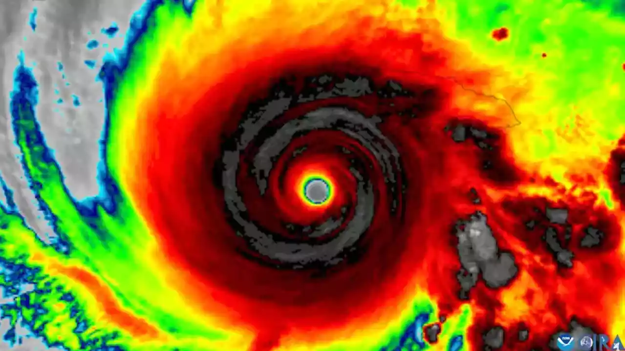
KI schlägt Meteorologen: DeepMind hatte in der Hurrikan-Saison die Nase vorn

Die Hurrikan-Saison 2025 war ein Lackmustest für Künstliche Intelligenz in der Wettervorhersage – und Google DeepMind hat bestanden.

heise.de/news/KI-schlaegt-Mete…

#IT #KünstlicheIntelligenz #Supercomputer #Wissenschaft #news



Digitalfunk-Desaster der Bundeswehr: Millionen für Berater sollen es richten

Capgemini, PwC & Co. sollen helfen, die Probleme beim Digitalfunk des Heeres in den Griff zu bekommen. Es geht um Aufträge in Höhe von knapp 160 Millionen Euro.

heise.de/news/Digitalfunk-Desa…

#Bundeswehr #Digitalisierung #IT #NATO #Wirtschaft #news



Großer Wurf oder nur ein Schritt? Kabinett für Bürokratieabbau

Das Kabinett beschließt zwei Pakete, mit denen die Entbürokratisierung voranschreiten soll. Digitalminister Wildberger zeigt sich hochzufrieden, andere sind weniger erfreut. Von Kilian Pfeffer.

➡️ tagesschau.de/inland/innenpoli…

#Kabinett #Bürokratie #Bürokratieabbau #Entlastung

Als Antwort auf tagesschau

Zu Bürokratieabbau fällt mir eine Laudatio der BigBrotherAwards von Rena Tangens ein ... bigbrotherawards.de/2025/buero… #BBA25


Anschluss an Stromnetze: Halbleiter statt Kupfer im Solid State Transformer

Um Rechenzentren oder Stromtankstellen ans Netz zu koppeln, ersetzen Solid State Transformer (SST) zunehmend klassische Transformatoren.

heise.de/news/Anschluss-an-Str…

#Energie #FairIT #IT #Ladestationen #Photovoltaik #Rechenzentrum #Solarenergie #Windkraft #news



Marktbericht: DAX wieder über 24.000 Punkten

Zur Wochenmitte gelang dem DAX eine bemerkenswerte Kurswende. Nach frühen Verlusten setzte eine Aufholjagd ein, die den Index wieder über 24.000 Punkte half. Auch die Wall Street ist gut aufgelegt.

➡️ tagesschau.de/wirtschaft/finan…

#Marktbericht #DAX #Börse #Nikkei #Kurssturz #Gold #Öl #KI #Blase #Technologie

Als Antwort auf tagesschau

Das ist ja wirklich toll für den Dachs, da kann man ja nur gratulieren.

Derweil gehen die Zwangsverarmten in die zweite Nullrunde, aber die haben's ja nicht besser verdient, ne?

#IchBinArmutsbetroffen



Vonovia steigert Gewinn: Das lohnende Geschäft mit der Miete

Das aktuelle Jahr ist für Deutschlands größten Immobilienkonzern bisher erfolgreich verlaufen: Die Gewinne sind gestiegen - vor allem wegen höherer Mieten. Und der Konzern geht davon aus, dass das so weitergehen wird.

➡️ tagesschau.de/wirtschaft/unter…

#Vonovia #Miete #Wohnen #Wohnungskrise

Als Antwort auf tagesschau

Staatliche Subventionen für Konzerngewinne. Kapitalismus in Reinform.

Wollte nicht jemand gegen sogenannten "Sozialleistungsbetrug" vorgehen?

#dwenteigen #vonoviaenteignen

Als Antwort auf tagesschau

bei dieser Wohnungssituation sollte Preiswucher verboten werden


Etwas mehr der heute besonders häufig geteilten #News:

320.000 Jeeps wegen Feuergefahr zurückgerufen
heise.de/news/320-000-Jeeps-we…

"Entlastungskabinett": Mehr als nur das offizielle Aus für DE-Mail
heise.de/news/Entlastungskabin…

Strickmaschine erstellt feste 3D-Strukturen ähnlich wie ein 3D-Drucker
heise.de/news/Strickmaschine-e…

"Operation Chargeback": Großangelegter Betrug mit Kreditkartendaten aufgedeckt
heise.de/news/Operation-Charge…

#heise #Verpasstodon



BGH: "Schäden durch Pandemien" dürfen ausgeschlossen werden

Eine Reiseversicherung hatte "Schäden durch Pandemien" von ihren Versicherungsleistungen ausgeschlossen. Die Verbraucherzentrale Bundesverband findet diese Formulierung missverständlich und klagte. Von Alena Lagmöller.

➡️ tagesschau.de/wirtschaft/verbr…

#Urteil #BGH #Reiseversicherungen #PAndemie



Nach Syrien-Aussage von Wadephul: Debatte in der Union außer Kontrolle?

Dass die Syrien-Aussage des Außenministers weiterhin die Fraktion beschäftigt, sagt viel über den politischen Druck in der Union aus. Auch ein Auftritt Wadephuls in der Fraktionssitzung hat die Debatte nicht beruhigt. Von D. von Osten.

➡️ tagesschau.de/inland/innenpoli…

#Syrien

Als Antwort auf tagesschau

Warum nur erinnert mich dieser Zirkus an die Posse welche die Union bei der Wahl der Richter zum Bundesverfassungsgericht veranstaltet hat...? 🤔

Entweder hat Herr Spahn seine Fraktion nicht im Griff oder er will diesen Zirkus um abzulenken, z.B. von der Forderung nach einem Untersuchungsausschuss zu seinen Stunts als Gesundheitsminister. Oder er sägt gar am Stuhl von Friedrich Merz...

Als Antwort auf tagesschau

Da zeigt einer in der Union einen hauch von Anstand und Menschlichkeit und wird gleich vom profaschistischen Flügel weggebissen.


Zum Abend noch einige der heute besonders häufig geteilten #News:

Für Entkriminalisierung: BSI-Chefin fordert Überarbeitung des Hackerparagrafen
heise.de/news/Hackerparagraf-B…

Spionage via Online-Graumarkt: EU-Mitarbeiter durch Handy-Standortdaten entblößt
heise.de/news/Spionage-via-Onl…

China installiert Wind- und Solaranlagen in halsbrecherischem Tempo
heise.de/news/China-installier…

Bundesdatenschutzbehörde erkennt ersten Dienst gegen die Cookie-Banner-Flut an
heise.de/news/Bundesdatenschut…

#heise #Verpasstodon



Kommentar zu Wahlen in den USA: Trump muss auf Demokraten zugehen

Der Hauptgrund für die Wahlsiege der US-Demokraten seien die hohen Lebenshaltungskosten, meint Martin Ganslmeier. Dafür machten viele Wähler Präsident Trump verantwortlich. Der müsse nun auf die Demokraten zugehen.

➡️ tagesschau.de/kommentar/wahlen…

#Kommentar #USA #Wahlen #NewYork #Mamdani #Trump

Als Antwort auf tagesschau

Trump muß gar nix, er muss nur weiter fleißig Dekrete erlassen und wer das immer noch nicht begriffen hat dem ist nicht mehr zu helfen.


Fördermittel-Vergabe in Berlin: Ex-Kultursenator Chialo in der Kritik

Hat Ex-Kultursenator Chialo Fördergelder in Berlin ohne ausreichende Prüfung und gegen den Rat der Verwaltung vergeben? Grüne und Linke fordern einen Untersuchungsauschuss.

➡️ tagesschau.de/inland/regional/…

#Berlin #Grüne #Linke #Kultur #Kritik



X11 in Gnome ist Geschichte - Backend entfernt

Angedeutet hatte es sich schon, nun haben die Entwickler durchgezogen: Sie haben den X11-Backend-Code aus Gnome entfernt.

heise.de/news/X11-in-Gnome-ist…

#Gnome #IT #Journal #Linux #OpenSource #Wayland #news



EU plant Hochgeschwindigkeitsnetz: In vier Stunden von Berlin nach Kopenhagen

Die EU-Kommission will Europa durch schnellere Bahnverbindungen näher zusammenbringen. Bis 2040 sollen Reisezeiten drastisch sinken.

heise.de/news/EU-plant-Hochges…

#EU #IT #Mobilität #Nachhaltigkeit #Verkehr #Wirtschaft #news



Nach Trumps Ankündigung: Putin erwägt Wiederaufnahme von Atomtests

Nach der Ankündigung von US-Präsident Trump zu möglichen Atomtests folgt nun die Antwort des russischen Präsidenten: Sollten die USA dies tun, würde Russland nachziehen. Vorbereitungen habe er bereits angeordnet, so Putin.

➡️ tagesschau.de/ausland/asien/pu…

#Russland #Putin #Atomtests

Als Antwort auf tagesschau

beide abknallen. Problem gelöst.
Relikte verganener Zeiten, die diese wieder haben wollen
Dieser Beitrag wurde bearbeitet. (2 Tage her)


Klimaschutz in der Wirtschaftskrise - Emissionshandel in der Kritik

Die EU-Staaten haben sich nur unter großen Mühen auf eine Linie verständigen können. Einige sehen die Wettbewerbsfähigkeit durch die Klimapolitik in Gefahr. In der deutschen Industrie wird Kritik am Emissionshandel laut. Von Martin Polansky.

➡️ tagesschau.de/inland/innenpoli…

#Klimakonferenz #Emissionshandel #Industrie

Als Antwort auf tagesschau

Wettbewerbsfähigkeit ist genau, was man braucht, wenn man gegen die Wand rennt.


Arbeitslos wegen KI: Laut einer Studie holen Unternehmen ihre Mitarbeiter zurück

Studien zeigen: Bisher können KI-Modelle menschliche Mitarbeiter nicht ersetzen. Wer entlassen wird, könnte deshalb bald wieder am selben Schreibtisch sitzen.

heise.de/news/Arbeitslos-wegen…

#Arbeitswelt #Karriere #KünstlicheIntelligenz #Wirtschaft #news



Kommentar: Vereinbartes Klimaziel der EU gefährdet Europas Zukunft

Eine völlige Blamage bei der Weltklimakonferenz ist dank der Last-Minute-Einigung der EU-Umweltminister zwar abgewendet, meint Kathrin Schmid. Langfristig werde das wenig ambitionierte Klimaziel Europa aber schaden.

➡️ tagesschau.de/kommentar/eu-kli…

#Kommentar #EU #Klimaziele

Als Antwort auf tagesschau

Tja, wenn Lobbyisten und Faschisten den Takt des Motors antreiben, was soll dabei positives rum kommen?


Über Monopole, Medienmacht und die Rückeroberung der digitalen Souveränität

Was Europas digitaler Zukunft helfen könnte und wie die Befreiung aus den Fängen der Tech-Monopolisten gelingen kann, war Thema auf der KI-Woche in Stuttgart.

heise.de/news/Ueber-Monopole-M…

#KünstlicheIntelligenz #Netzpolitik #news



Vertrag soll bis Jahresende stehen: Bayern will in die Microsoft-Cloud

Bayern will seine Behörden mit Microsoft 365 ausstatten. Kritiker rechnen mit Lizenzkosten in Milliardenhöhe und warnen vor dem Verlust digitaler Souveränität.

heise.de/news/Vertrag-soll-bis…

#CloudComputing #DigitaleSouveränität #Microsoft #Netzpolitik #news



Marktbericht: Kurswende am Nachmittag

Erfreuliche Daten vom US-Arbeitsmarkt haben die Kursverluste am deutschen Aktienmarkt weggewischt. Der DAX kratzt an der 24.000-Punkte-Marke. An der Wall Street ist aber noch wenig Dynamik zu erkennen.

➡️ tagesschau.de/wirtschaft/finan…

#Marktbericht #DAX #Börse #Nikkei #Kurssturz #Gold #Öl #KI #Blase #Technologie



Von Hamas übergebene Leiche war letzte deutsche Geisel

Eine am Dienstag von der Hamas an Israel übergebene Leiche ist identifiziert worden: Es handelt sich um die sterblichen Überreste der letzten Geisel mit deutscher Staatsbürgerschaft. Die Familie des Toten hatte Kanzler Merz getroffen.

➡️ tagesschau.de/ausland/asien/is…

#Israel #Hamas #Geisleln



EU-Länder wollen 90 Prozent weniger Emissionen bis 2040

Nach mehr als 20 Stunden langem Feilschen steht fest: Die EU-Länder wollen den Treibhausgasausstoß bis 2040 um 90 Prozent reduzieren.

heise.de/news/EU-Laender-wolle…

#Bundesregierung #EU #Klimaschutz #Klimawandel #Netzpolitik #Wissenschaft #news



Hoffen auf Rückkehr der Eisbachwelle

Seit Tagen ist die berühmte Eisbachwelle in München verschwunden. Die Surfer hoffen, dass sie bald wieder auf das Wasser können. Jetzt meldet sich Oberbürgermeister Reiter zu Wort: Es würden alle möglichen Lösungen überprüft.

➡️ tagesschau.de/inland/regional/…

#Bayern #Eisbachwelle

Als Antwort auf tagesschau

Berichtet lieber über sich durch die Klimakatastrophe verursachten Änderungen von Wasserständen! Dass irgendwelche Surfer in München nicht mehr planschen gehen können, interessiert außerhalb der Stadt keine Sau!
Dieser Beitrag wurde bearbeitet. (2 Tage her)
Als Antwort auf tagesschau

Die Politik verspielt mit dem Aufweichen der #Klimaziele gerade parallel unsere Lebensgrundlage und die unserer Kinder. Scheint nicht so wichtig zu sein. Aber die Eisbachwelle ...
Prioritäten, so wichtig. #klimakatastrophe #bayern


Arbeitsspeicher: RAM-Preise schießen hoch

Befürchtungen werden wahr: Auch in Europa steigen die Verkaufspreise für Speichermodule deutlich an. Besserung ist nicht in Sicht, weil die Nachfrage wächst.

heise.de/news/Arbeitsspeicher-…

#Speicher #PC #DRAM #IT #Server #news



Sexpuppen-Skandal: Frankreich will Shein sperren

Frankreich leitet ein Verfahren zur Sperrung des chinesischen Online-Händlers Shein ein, weil er Sexpuppen mit kindlichem Aussehen angeboten hat.

heise.de/news/Sexpuppen-Skanda…

#Netzpolitik #eCommerce #Politik #news



Bundesregierung will Führerschein bis Ende 2026 aufs Smartphone bringen

Die Bundesregierung hat den Gesetzentwurf aus dem Verkehrsministerium beschlossen: Bis Ende 2026 soll unter anderem der Führerschein aufs Handy wandern.

heise.de/news/Bundesregierung-…

#Bundesregierung #Digitalisierung #IT #Netzpolitik #Smartphone #news



USA melden weiteren tödlichen Angriff auf mutmaßliches Drogenboot

Vor etwa zwei Monaten begannen die USA damit, Boote anzugreifen, die mutmaßlich Rauschgift transportieren. Der neueste Fall ereignete sich laut Pentagon-Chef Hegseth im Pazifik. Zwei "Drogenhändler" seien getötet worden.

➡️ tagesschau.de/ausland/usa-boot…

#USA #Pazifik

Als Antwort auf tagesschau

Einfach mal mit US-Privatbooten in internationalen Gewässern machen ...
Als Antwort auf tagesschau

Venezuela hat Öl und Seltene Erden.
Was die Propagandaschau da unsachlich von sich gibt ist nicht akzeptabel


Trump nominiert Musk-Vertrauten Isaacman als neuen NASA-Chef

Nun also doch: US-Präsident Donald Trump will den Privat-Astronauten und Vertrauten von Elon Musk, Jared Isaacman, zum Chef der US-Raumfahrtbehörde NASA machen. Ende Mai klang das noch anders.

➡️ tagesschau.de/wirtschaft/weltw…

#NASA #Raumfahrt #Trump #ElonMusk

Als Antwort auf tagesschau

"Privat-Astronaut", lol. "Weltraumtourist" ist das Wort das ihr sucht.
Dieser Beitrag wurde bearbeitet. (2 Tage her)

This website uses only neccessary cookies. If you continue browsing this website, you agree to the usage of cookies.